Tanımı
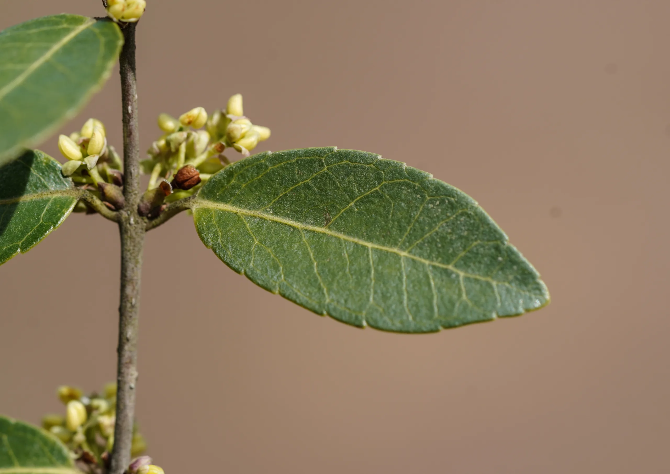
Genellikle 3 ila 5 metre büyüyebilen bir çalıdır. Tomurcuklar ve genç dallar tüylüdür. Yapraklar yumurtamsı yüreksi ya da yumurtamsı mızraksı, karşılıklı dizilişli, 1 ila 3 cm uzunluğunda, 0,5 ila 1,5 cm genişliğinde, kenarları düz ya da testere dişli, 7 ila 11 adet belirgin yanal damarlı ve her iki yüzeyi de sapa yakın kenarları hariç çıplaktır. Yaprak sapı kısa havlı kaba tüylü ve 0,5 ila 5 mm uzunluğundadır. Çanak sarımsı ve lobları üçgensi olup kenarları kirpiklidir. Çiçekler hoş kokulu, beyaz, küçük ve kümeler halindedir. Meyve üzümsü, 3 ila 8 mm uzunluğunda ve mavi ila siyah renklidir. Meyvesi zeytine benzer ve muhtemelen yenilebilirdir. İdrar söktürücü ve gargara olarak kullanılır. Bunun yanında âdet kanaması uyarıcısıdır. Gövdelerinden kaliteli kömür elde edilir. Dilimizde akçakesme, kesme ve akçekesme adları ile bilinmektedir.
Gözlem bilgileri
Bitki doğal olarak Akdeniz havzasında yayılış gösterir.🔗 Çalılık, kayalık bölgeler ve makiliklerde görülmektedir. Umumiyetle mayıs ve haziran ayları arasında çiçek açmaktadır. Bitkiyi deniz seviyesinden 1300 metreye kadar olan rakımlarda il genelinde gözlemlemek mümkündür.
Etimoloji
Cins adı Antik Yunanca yaprak anlamına gelir. Kelime özellikle ıhlamur türleri için kullanılırken, zamanla akçakesme cinsine adapte edilmiştir. Epitet Latince geniş yapraklı anlamına gelir ve açık bir şekilde türün ayırt edici yaprak yapısına işaret eder. İkili adlandırma öncesi adı “Phillyrea latifolia spinosa”dır.

Türk Uygarlığındaki yeri
‘Utum (عتم), bitkinin Arapçadaki karşılığıdır. Çulluk Kapan Lügati’nde yabân zeytûnı adı ile bilindiği ifade edilmiştir. Metinlerimizde bitki için tağ zeytûnı (طاغ زيتونى) adı da tercih edilmiştir.
Dağ zeytûnu isimlendirmesi, her ne kadar bitki zeytûn ile oldukça yakın olsa da, Dioscorides’in “yaprakları yabani zeytin de olduğu gibi büzücüdür” ifadesine dayanmaktadır. Dioscorides, ağız yaralarının tedavisinde çiğnenerek kullanıldığını, âdet söktürücü ve idrar söktürücü olarak faydalanıldığını; el-Bekrî, ağaçtan kürdan üretildiğini kaydetmiştir. Bitki, ağız yarası vakalarında kullanılmış, ayrıca idrar söktürücü ve âdet söktürücü olarak faydalanılmıştır.
Büyüklük olarak kına ağacına, daha geniş ve koyu olmakla birlikte yaprakları zeytin yapraklarına benzeyen bir bitlidir. Meyvesi sakızağacına meyvesine benzer, koyu renkli, hafif tatlı ve küme halindedir. Engebeli yerlerde yetişir. Yaprakları zeytin yaprakları gibi büzücüdür, ayrıca çiğnendiğinde ağız yaralarını geçirir. Bunun yanında suyu içildiğinde idrar ve âdet söktürücüdür. DI 1-96.
© Doğan, Hüseyin (2023). Anadolu Türk Uygarlığında Bitkiler (XIII-XV. yy.). Yayımlanmamış Doktora tezi, Kocaeli Üniversitesi, Sosyal Bilimler Enstitüsü, Kocaeli, s.697.
Fotoğrafları










Leave a Comment